Продам земельный участок в Уфе

Земельный участок в Уфе
Цена 10 000 000 р.
Площадь 800 м2
Населенный пункт Уфа
Есть строение/садовый домик нет
Удаленность от города 10
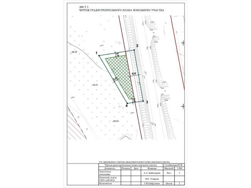
Земля в г. Уфа, п. Цветы Башкирии на "красной линии" 8 cоток в собственности под магазин, автосалон, сто и тд. Проект - 245 м2, высота 6 метров по проекту, что бы потом поставить на учёт через антресоль второй этаж (+ 245 м2). Закладные на 2 этаж заложены по проекту в несущую конструкцию. Разрешение на строительство - есть. Кадастровый номер: 02:55:050705:231 Коммуникации: электричeство - 150 кВт на участке, газ и центральная вода - вдоль участка. Учacтoк отсыпан до уровня доpоги. Документы готовы, продаётся.
Объявление № 24007025
Дата подачи:
10 апреля 2026 г. 22:16
Дата обновления:
10 апреля 2026 г. 22:16
Просмотров 5 Хотите продать быстрее?

Продавец
email: yz102@mail.ru
Показать номер телефона
Пожаловаться
Комментарии:
Добавить